Gå direkt till textinnehållet
Visa meny

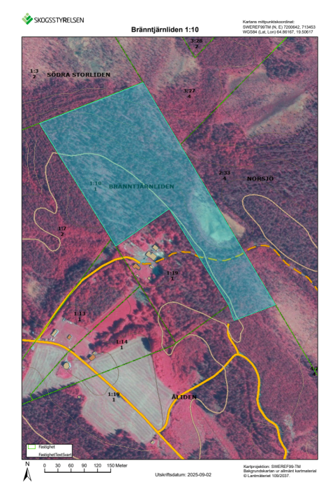
Försäljning av skogsskifte – Norsjö Bränntjärnliden 1:10

Norsjö kommun erbjuder nu möjligheten att lämna anbud på skogsskiftet Norsjö Bränntjärnliden 1:10, beläget cirka 6 km söder om Norsjö i byn Bränntjärnliden.

Fastigheten omfattar ett skifte med en total areal på 10,2 hektar. Virkesförrådet uppgår till 955 m³sk, fördelat på:

  • 74 procent tallskog
  • 14 procent granskog
  • 1 procent lövskog

Medelboniteten är 4,3 m³sk per hektar och år, och fastigheten har värderats till 381 000 kr av Skogsstyrelsen (värdering utförd 2025-09-02).

Försäljning sker till högstbjudande. Norsjö kommun förbehåller sig rätten att avvisa bud som inte anses motsvara fastighetens marknadsvärde.

Lämna anbud

Anbud ska vara skriftliga och innehålla kontaktuppgifter till anbudsgivaren. Märk anbudet med:
”Anbud Norsjö Bränntjärnliden 1:10”

Sista dag att lämna anbud är 2025-10-19.

Skicka ditt anbud via e-post eller post till:
Elin Andersson
Verksamhetschef Kommunal utveckling
E-post: Elin.Andersson@norsjo.se
Adress: Storgatan 67, 935 81 Norsjö

Värderingsutlåtande Bränntjärnliden 1_10

Bilaga 1 karta

Bilaga 2 skogstillstånd

Bilaga 3 beståndsmetoden

Bilaga 4 ortspriser

 

 

Senast ändrad 6 oktober 2025

Vi och våra partners använder cookies för att förbättra och personalisera din upplevelse, visa annonser baserade på dina intressen och för att mäta och analysera data. Genom att använda vår webbplats och våra tjänster godkänner du att vi använder cookies som beskrivet i vår dataskydds-policy.